
| 所在地 |
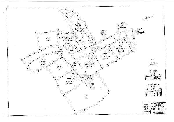
岡山県玉野市奥玉3丁目14番他 1号地 |
| 交通 |
両備バス「奥玉」停まで徒歩約10分 |
| 通学区(小学校) |
玉小学校 |
通学区(中学校) |
玉中学校 |

お支払い例
この物件を購入した場合の、月々の支払い価格の一例です。
(※元利均等方式 金利0.875%の場合 ※返済年数40年として算出しています)
※地図上のマークは物件の位置を示すものではありません。おおよその目安とお考え下さい。

| 管理物件番号 |
0133372 |
| 坪単価 |
9万円 |
土地面積 |
184.32m² |
| 坪面積 |
55.75坪 |
地目 |
宅地 |
| 都市計画 |
市街化区域 |
用途地域 |
第一種住居地域 |
| 建ぺい率 |
60% |
容積率 |
200% |
| 道路状況 |
東、南 |
手数料 |
なし |
| 排水設備 |
下水 |
|
|
| 詳細備考 |
土砂災害警戒区域 |
| 物件登録日 |
2013年12月22日 |
次回物件更新日 |
2024年09月28日 |
| 広告主 |
株式会社ヘルシー不動産 |
住所 |
岡山県岡山市南区富浜町5番10号 |
| 電話番号 |
0120-55-8502 |
免許証番号 |
岡山県知事(9)第3237号 |
| 所属団体等 |
公益社団法人 全国宅地建物取引業保証協会
公益社団法人 岡山県宅地建物取引業協会
|
| 取引形態 |
仲介
|


検討中の方は、まずは会員登録をし
て豊富な会員限定物件をご覧ください。

お客様が嫌がるような営業は一切行
いません。ご安心してお電話ください。
0120-55-8502
営業時間:10:00~18:00
定休日:隔週火曜・毎週水曜

どんな些細なことでもご相談下さい。
現地へのご案内も行っております。

岡山県玉野市玉原二丁目8番54
非公開
土地面積 非公開
坪面積 非公開
非公開万円

岡山県玉野市玉原一丁目16...
非公開
土地面積 非公開
坪面積 非公開
非公開万円

岡山県玉野市玉4丁目8番8
非公開
土地面積 非公開
坪面積 非公開
非公開万円

岡山県玉野市玉5丁目778番...
非公開
土地面積 非公開
坪面積 非公開
非公開万円


・【必須】は記入必須項目ですので、必ずご記入ください。
・メールアドレスは正しくご入力下さい。(弊社より返信メールが届きません。)
・半角カナ入力は文字化けの原因となりますのでご注意ください。
・データを送信される際の情報はSSL暗号化通信により保護されますので安心してご利用ください。