
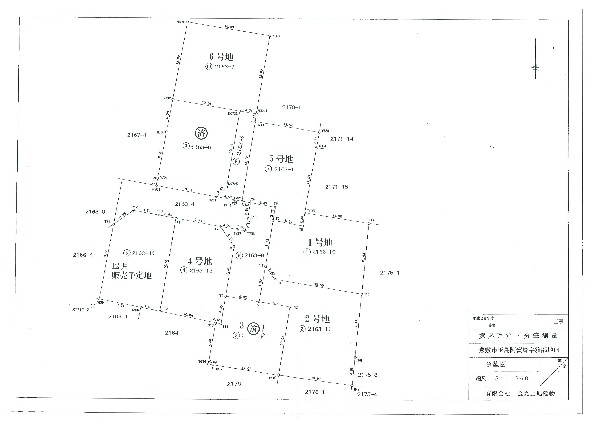
| 所在地 |
岡山県倉敷市玉島阿賀崎字箱部2163-1他 |
| 交通 |
井笠バス「玉島グランド前」まで徒歩22分 |
| 通学区(小学校) |
柏島小学校 |
通学区(中学校) |
玉島西中学校 |

お支払い例
この物件を購入した場合の、月々の支払い価格の一例です。
(※元利均等方式 金利0.875%の場合 ※返済年数40年として算出しています)
※地図上のマークは物件の位置を示すものではありません。おおよその目安とお考え下さい。

| 管理物件番号 |
0148383 |
| 坪単価 |
10万円 |
土地面積 |
175.34m² |
| 坪面積 |
53.04坪 |
最適用途 |
住宅地 |
| 地目 |
宅地 |
都市計画 |
市街化区域 |
| 用途地域 |
第一種住居地域 |
建ぺい率 |
60% |
| 容積率 |
200% |
道路状況 |
団地内公道(5.02m~6.02m) |
| 手数料 |
分かれ |
排水設備 |
宅地 |
| 負担金合計 |
50万円(※本体代金に含む) |
|
|
| 詳細備考 |
上下水道50万円/7号地:12月販売予定地 |
| 物件登録日 |
2018年10月30日 |
次回物件更新日 |
2024年11月10日 |
| 広告主 |
株式会社ヘルシー不動産 |
住所 |
岡山県岡山市南区富浜町5番10号 |
| 電話番号 |
0120-55-8502 |
免許証番号 |
岡山県知事(9)第3237号 |
| 所属団体等 |
公益社団法人 全国宅地建物取引業保証協会
公益社団法人 岡山県宅地建物取引業協会
|
| 取引形態 |
仲介
|


検討中の方は、まずは会員登録をし
て豊富な会員限定物件をご覧ください。

お客様が嫌がるような営業は一切行
いません。ご安心してお電話ください。
0120-55-8502
営業時間:10:00~18:00
定休日:隔週火曜・毎週水曜

どんな些細なことでもご相談下さい。
現地へのご案内も行っております。

岡山県倉敷市玉島柏台二丁...
非公開
土地面積 非公開
坪面積 非公開
非公開万円

岡山県倉敷市玉島勇崎1458-1
非公開
土地面積 非公開
坪面積 非公開
非公開万円

岡山県倉敷市玉島柏島1653...
非公開
土地面積 非公開
坪面積 非公開
非公開万円

岡山県倉敷市玉島柏島6088...
非公開
土地面積 非公開
坪面積 非公開
非公開万円


・【必須】は記入必須項目ですので、必ずご記入ください。
・メールアドレスは正しくご入力下さい。(弊社より返信メールが届きません。)
・半角カナ入力は文字化けの原因となりますのでご注意ください。
・データを送信される際の情報はSSL暗号化通信により保護されますので安心してご利用ください。