岡山県内岡山市、倉敷市、広島県内福山市を中心に土地、建物情報が簡単に検索
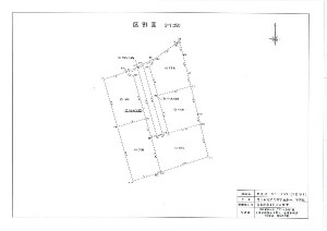
| 所在地 | 岡山県岡山市北区今保557番10、552番4、556番4 | ||
|---|---|---|---|
| 交通 | 山陽本線「庭瀬駅」徒歩32分 | ||
| 通学区(小学校) | 御南小学校 | 通学区(中学校) | 御南中学校 |
| 価格 | 1,884万円 |
|---|
| 管理物件番号 | 0178621 | ||
|---|---|---|---|
| 坪単価 | 32万円 | 土地面積 | 188.94m² |
| 坪面積 | 57.15坪 | 最適用途 | 住宅地 |
| 地目 | 宅地/雑種地 | 都市計画 | 市街化区域 |
| 用途地域 | 第一種住居地域 | 建ぺい率 | 60% |
| 容積率 | 200% | 道路状況 | 公道:北西約6m、団地内約6m |
| 手数料 | 分かれ | 排水設備 | 下水 |
| 負担金合計 | 55万円(※本体代金に含む) | ||
| 詳細備考 | 面積確定前につき実測清算有/手前ブロック上にブロックもしくはフェンス | ||
| 物件登録日 | 2025年09月11日 | 次回物件更新日 | 2026年03月15日 |
| 広告主 | 株式会社ヘルシー不動産 | 住所 | 岡山県岡山市南区富浜町5番10号 |
| 電話番号 | 0120-55-8502 | 免許証番号 | 岡山県知事(9)第3237号 |
| 所属団体等 |
公益社団法人 全国宅地建物取引業保証協会 公益社団法人 岡山県宅地建物取引業協会 |
||
| 取引形態 | 仲介 | ||

![]()